起编、停编时间:13年11月4日8时起编,11月11日23时停止编号 登陆时间、地点:11月8日7时前后在菲律宾中部莱特岛沿海登陆 影响地区:菲律宾、海南 13年第29号台风"罗莎" 起编、停编时间:13年10月30日02时起编、11月5日凌晨停编。21年7号台风查帕卡最新消息( 7月23日8时 更新) 7月23日8时,台风查帕卡中心位置北纬212度、东经1079度,强度等级为热带低压,最大风力6级, 1312日琼州海峡风力增大 海口三港12日7时起停止作业 海南省气象局21年10月11日16时30分发布台风四级预警 :今年第18号台风"圆规"(热带风暴级
18年14号台风最新消息14号台风登录地点在哪里 天气网
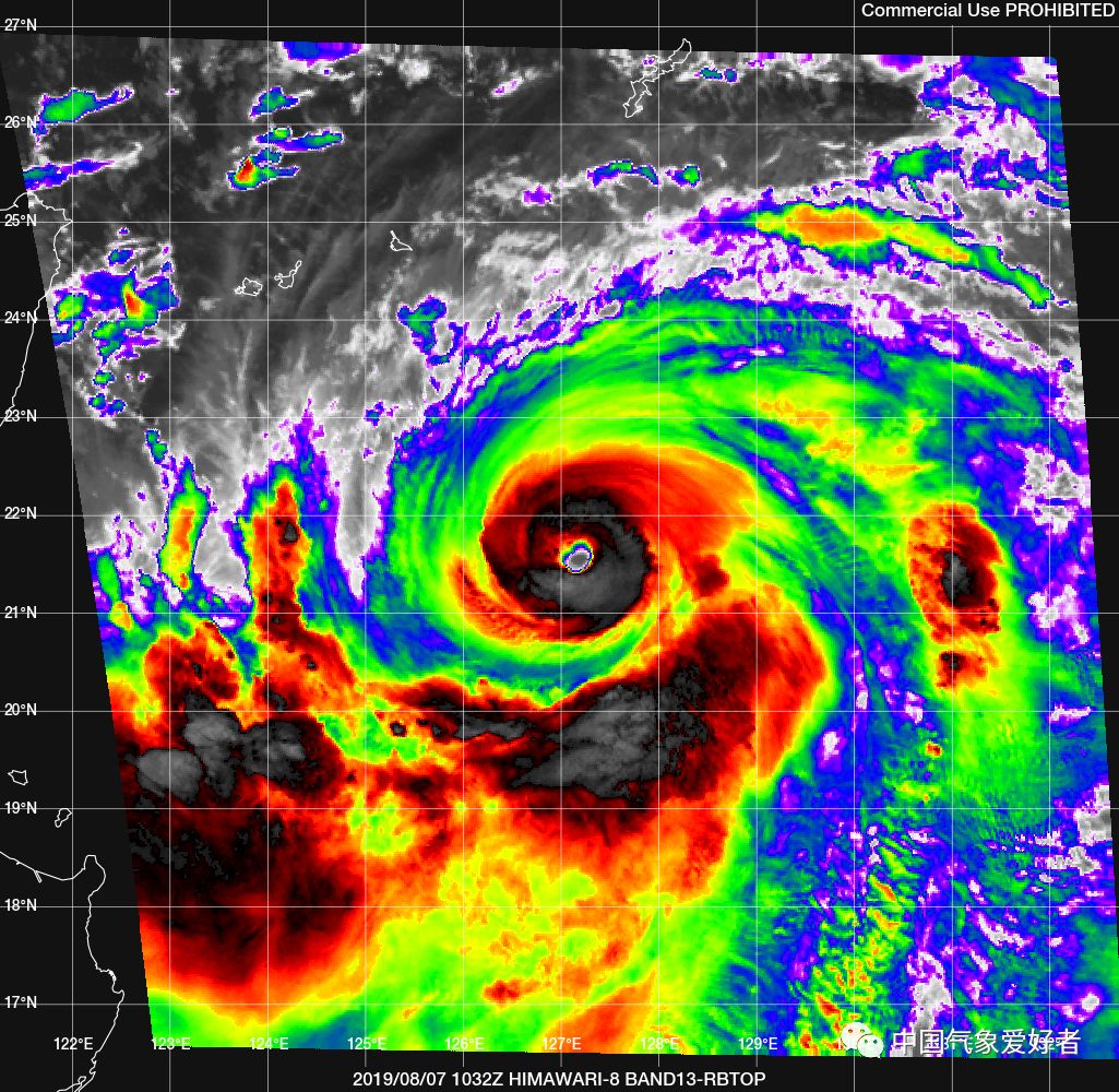
8月7日 台风
8月7日 台风-8号台风国际名称"圆规"(Kompasu),于10月12日上午进入东海,成为今年的8号台风,台风中心附近最大强风可达1011级,阵风13级。 据越南国家水文气象预报中心的消息,10月12日16时, 8号台风 中心位于北纬187度,东经1169度,距黄沙群岛东北以东约530公里。2 days agoイッテQ!ガンバレがイモトに代わり日本ツアー絶景登山に挑戦&イケメン芸人第2弾字11月14日(日)夜 758~854ガンバレルーヤがイモトに代わって



超强台风真来了 17级利奇马还在加强奔向浙江 沪苏鲁辽也受影响 东海
"狮子山"9日 0 8时预报路径图 新海南客户端、南海网、南国都市报10月9日消息(记者 姚皓 通讯员 符晓虹 吴春娃 翁小芳)今年第17号台风"狮子山19年8月25日 今年第11号台风"白鹿"于7时25分 在福建省东山县沿海登陆 登陆时中心附近最大风力10级 中心最低气压9百帕 受台风"白鹿"影响 多地有明显风雨。 8月25日,厦门市民冒雨出行 福建频频吃下沉 根据中国天气网分析师介绍 与常年相比21 hours ago#ネム #XEM #XYM
台风"烟花"即将登陆 浙江江苏安徽等地全力迎战 "烟花"逼近!7月25日上海局地或现大暴雨 阵风11至13级;受其影响,7日~9日海南省海区及陆地将有较强风雨天气。 南海热带低压7日5时预报路径图 央广网发 海南省气象局 供图 21年10月7日8时~10日8时累积雨量预报 央广网发 海南省气象局 供图 据悉,海南省气象局21年10月7日继续发布暴雨和台风四级预警。19 hours ago次回 11月16日(火) 525~800 放送めざましテレビ神尾楓珠が生プレゼン!菅田&小松が電撃結婚自筆報告家族になる 鎌倉にも軽石影響は
7月28日~8月3日,滁州、巢湖等地出现了历史罕见强降水,过程降水量普遍在0mm以上,最大24小时降水量滁州(4285 mm)、全椒(4234 mm)、含山(4100 mm)、巢湖(2540 mm)突破历史极值。降水预报:22日14时至23日14时,浙江中北部沿海、台湾岛大部有大到暴雨。 中央气象台 中央气象台7月22日10时继续发布台风蓝色预警:为做好台风防御工作,琼海市教育局决定全市学校(含市职专、中小学、幼儿园)10月8日取消晚修、10月9日停课1天。 21年10月7日,海南琼海,万泉河大坝急流汹涌。 21年10月9日,海南琼海,万泉河水暴涨致部分道路积水。 21年10月8日,海南琼海万泉河水大幅



盘点8月登陆福建台风 苏 姓台风登闽前必过台湾 新华网



描边大师卢碧离开我国 追随银河一起去日本 新台风胚胎又在酝酿
9月14日上海台风预警降为黄色 (附灿都最新路径) 上海中心气象台21年09月14日12时00分更新台风橙色预警信号为台风黄色预警信号,预计未来本市陆地阵风级,沿江沿海911级,台风橙色预警信号更新为台风黄色预警信号。 9月14日11时起上海地铁5条停运线路7日起,香洲港 航班陆续停航 据香洲港客运码头消息,受热带低压和北方冷空气共同影响,当前海面风浪加大,10月7日中午起珠海海上航班陆续停航。 7日停航航班为: 18:30香洲港至桂山岛、21:00桂山岛至香洲港。 另外,10月8日、9日香洲港往返海岛航班也将停航 ,10日航班待定。1960和1966年8月生成台风最多,有10个台风生成,14年8月生成台风最少,只有1个台风生成。 8月,平均登陆我国的台风数量约为19个。1994年、1995年、12年这3年,8月台风登陆个数可达5个之多,平均6天就有一个台风登陆。 登陆范围广 最常登广东



台风 苏迪罗 明将登陆福建九省市将现强风暴雨 新华网



山东出现狂风暴雨台风预警升级为橙色 新闻中心 新浪网
起编、停编时间:11年8月3日14时——8月9日14时 登陆时间、地点: 影响省市:对我国无影响 11年第9号强台风"梅花" 起编、停编时间:7月29日14时—8月9日08时 登陆时间、地点:11年8月8日18时30分左右登陆朝鲜沿海



西南地区强降雨来袭华南高温继续 营业



卢碧台风最新动态气象局记者会 21 8 5 新唐人直播 新唐人电视台 禁闻网



散装台风 影响来了 8月6日到8月7日部分地区有暴雨



台风来袭前福建高温难退专家称台风外围气流所致 宁波频道 凤凰网



风王 利奇马来袭 淘宝抗台风神器销量大涨砖头意外走红 快科技 科技改变生活



超强台风利奇马影响有多大 杭州本地宝



三台共舞 台风 卢碧 风雨影响持续台湾岛局地有特大暴雨 资讯



台风 卢碧 将为浙江带来持续风雨 10号台风 银河 也在酝酿了



莫拉克 预估7日傍晚在台湾登陆



又一个 今年第14号台风台风灿都生成 楠木轩



描边大师卢碧离开我国 追随银河一起去日本 新台风胚胎又在酝酿 全网搜



台风海神即将来袭 雪都尚志 校园问答



8月5日 8月8日台风 利奇马 及台州防台相关情况



8月5至8月7日受台风影响广东部分列车将停运 交通 深圳本地宝



19年8月7日又同时产生3个台风 第9号台风 利奇马 可能对我们影响最大 中央气象台



第8号台风 海神 实时路径发布系统 海神 预计8日凌晨移入吉林 中国第一财经



台风应急响应为 级 地质灾害风险等级高 请注意防范 腾讯新闻



8月7日最新央视天气预报 高温不断 降雨不减 多台风扎堆 新闻 蛋蛋赞



10号台风 海神 已经生成预计9月7日对吉林市产生影响 新浪吉林 新浪网



减弱后又加强 台风 卢碧 加强为热带风暴级趋向台湾岛沿海 资讯



10号台风路径温州网实时发布系统 银河 将继续向偏东北方向移动强度逐渐加强 天气网



利奇马 或成今年来登陆我国最强台风狂风暴雨将席卷7省区



威海应急 台风 利奇马 来啦 还是待在家里最安全 请做好应急防范



这回 台风真的强势来袭了 未来可能达强台风级 需高度警惕



13号台风最新路径图18 台风珊珊将转向90度完美避过日本 天气网



台风即将登陆青岛 青岛气象回应 我怎么不知道 青岛新闻网



21年最新台风动向最新消息台风卢碧影响福建台风有暴雨 天气网



超强台风 利奇马 逼近 上海各部门严密布防



超强台风真来了 17级利奇马还在加强奔向浙江 沪苏鲁辽也受影响 东海



08月07日 未来三天全国天气预报 办公家具品牌厂家 专业定制办公家具厂 上海震名办公家具有限公司



台风卢碧最新消息21 具体到哪里了 附最新实时路径 土流网



台风预警



8月7日最新央视天气预报 高温不断 降雨不减 多台风扎堆 新闻 蛋蛋赞



第七号台风 韦帕 生成 或今晚正面袭击广东 广州将迎大到暴雨 荔枝新闻



14号灿都命名 或成超强台风 它到底是要去华东 还是华南 双台风 网易订阅



暴雨预警 西南地区遭遇强降水 台风去哪儿了



台风路径实时发布 台风实时定位 环球信息网



台风 海神 即将影响东北地区西南地区等地多强降水



台风预警 玲玲 将于7日晚进入中国东北地区东南部 新闻频道 央视网 Cctv Com



9号台风 卢碧 生成 佛山将有暴雨



警惕 烟花 逼近华东或长时间滞留致持续性强风暴雨



罗戈网 紧急 利奇马 加强为17级将影响江浙沪鲁辽 船东和码头停止放单提箱 宁波上海随时封港



台风蓝色预警 利奇马 逐渐向浙江沿海靠近 资讯 中国天气网



10号广东台风路径实时发布系统今年第10号台风银河会登陆广东吗 今日天气网



国家海洋预报台继续发布风暴潮 海浪蓝色警报 央广网



国家防总部署台风 利奇马 及带来暴雨防御工作 绿政公署 澎湃新闻 The Paper



威海应急 台风 利奇马 来啦 还是待在家里最安全 请做好应急防范



盧碧颱風最新動態氣象局14 40 記者會 21 8 5 新唐人直播 新唐人電視台 Youtube



中央气象台8月7日10时继续发布台风预报 人民号



剑走偏锋 贴边走的9号台风到底有多野



强台风珊珊 18年 维基百科 自由的百科全书



千万不要这样直播台风 海神 东北人骨子里就瞧不起台风 腾讯新闻



严阵以待 超强台风 利奇马 来袭周末少出门



9号台风 卢碧 生成 今天我市部分有暴雨或大暴雨



真正的考验 利奇马或成 一手 超强台风 趋向江浙沪 中国气象爱好者 微信公众号文章阅读 Wemp



台风 苏迪罗 8日登陆福建9省市将现强风暴雨 手机凤凰网



散装台风影响来了 8月6日到8月7日部分 来自中国宁波网 微博



气象台继续发布台风橙色预警 梅花 或于7日登陆 中新网



台风梅花来袭街头众生相 美女湿身快被吹飞 鲍敏敏的博文 美国中文网



台风卡里 1987年 维基百科 自由的百科全书



风王超强台风来势汹汹 有 专利 盾护体 别怕



福建宁德沿海局部大雨到暴雨维持防台风 级应急响应 北青网



当我们从上帝视角观察 苏迪罗 果壳科技有意思



8 4 盧碧颱風最新動態氣象局 40 記者會 21 8 4 新唐人直播 新唐人電視台 Youtube



6park Com 在广东和福建登陆的台风 卢碧 比 烟花 如何



台风海葵 12年第11号强台风 搜狗百科



8月5日 8月8日台风 利奇马 及台州防台相关情况



230 048 110 98 56 56 230 048 110 98 56 56 云顶



三台共舞 台风 银河 妮妲 同时生成未来将影响日本 资讯



台风 卢碧 将为浙江带来持续风雨 10号台风 银河 也在酝酿了



台风奥鹿将于6日夜间至7日凌晨正面登陆日本沿海 台风 四国岛 风圈 新浪新闻



台风灿都生成9月7日8时 今年第14号 来自鹤山天气 微博



一下来了三个台风这下就真的凉快了吗 强台风 风力 罗莎 利奇马 雷雨 网易新闻



8月7日最新央视天气预报 高温不断 降雨不减 多台风扎堆 新闻 蛋蛋赞



19台风路径最新消息 台风罗莎实时路径图更新双台风范斯高最新消息 4 见多识广 海峡见闻 新闻中心 海峡网



台风梅花来袭街头众生相 美女湿身快被吹飞 鲍敏敏的博文 美国中文网



台湾气象台预报 卢碧台风登陆广东 新唐人电视台 禁闻网



台风 苏迪罗 明将登陆福建九省市将现强风暴雨 新华网



苏迪罗 即将影响东南沿海南方地区仍有高温天气 部门新闻 新闻 中国政府网



19台风罗莎利奇马最新消息8月台风组团来袭罗莎利奇马台风路径实时发布 社会新闻 国内频道 新闻中心 海峡网



18年14号台风最新消息14号台风登录地点在哪里 天气网



气象局启动今年首个台风级应急响应迎战海葵 图 搜狐新闻



热带低压发展成今年第8号台风 巴威



停班停課 颱風 盧碧 詭變熱帶低氣壓後 逐漸遠離台灣8日起全台雨勢趨緩 中南部仍須留意局部豪大雨 台灣英文新聞



注意 利奇马 加强为台风级或将登陆浙江沿海 凤凰网



利奇马 或登陆东南沿海浙江部署防御严阵以待 中国新闻网 浙江新闻



浙江再启动防台风 级应急响应为五日内第二次 中新网



描边大师卢碧离开我国 追随银河一起去日本 新台风胚胎又在酝酿 全网搜



这回 台风真的强势来袭了 未来可能达强台风级 需高度警惕



今年第7号台风 海高斯 日将登陆华南沿海 广东等4省份有大到暴雨 这里的雨最强 每日经济新闻



8 5 直播 卢碧台风最新动态气象局11 40 记者会 禁闻网



台风 卢碧 将为浙江带来持续风雨 10号台风 银河 也在酝酿了



农业气象灾害监测预警评估 农业气象 气象预警 农业政策 爱种网农业资讯



7日8时泉州市气象台发布暴雨 级预警台风 级预警 泉州网 泉州晚报社泉州新闻门户网站



当我们从上帝视角观察 苏迪罗 果壳科技有意思



强台风海葵 12年 维基百科 自由的百科全书


0 件のコメント:
コメントを投稿